|
|
|
NYSG's Social Media Review: Early September 2016
By Paul F on Sep 9, 2016 at 12:18 PM

In mid-August, The National Oceanic and Atmospheric Administration (Sea Grant's federal parent agency) updated its outlook for the Atlantic hurricane season, saying that it is "still expected to be strongest since 2012, with forcasters now expecting a 70% chance of 12–17 named storms: www.noaa.gov/media-release/atlantic-hurricane-season-still-expected-to-be-strongest-since-2012.
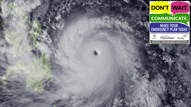
Hurricane Hermine (PICTURED ABOVE) made landfall in Florida early on September 2nd, making it the first hurricane in 11 years to do so. After impacting Florida, Hurricane Hermine made her way up the U.S. eastern seaboard and, though downgraded to tropical storm, still packed quite the punch.
Providing emergency managers with the tools they need to best communicate with the public about preparing for storms such as Hermine is at the heart of NOAA Sea Grant's Coastal Storm Awareness Program, the efforts of which are detailed in a short documentary and trailer. Learn more at www.nyseagrant.org/csap.
With September being "National Preparedness Month," check out the comprehensive tool kit: www.ready.gov/september.
Also, check out New York Sea Grant's (NYSG) "Be Aware, Be Strong, Be Prepared" blog post, www.seagrant.sunysb.edu/blog/25, which is filled with many useful tips.
When our waters are safe from severe weather, make sure you swim safe: www.nyseagrant.org/ripcurrents.
In News from NOAA's New York Sea Grant ...
(1) NY Congressman Brian Higgins recently announced NYSG's support for a new water quality study being conducted by Buffalo State Great Lakes Center at Gallagher Pier on Buffalo’s Outer Harbor: https://seagrant.sunysb.edu/articles/r/2683. Also, listen to a short audio clip from WBFO 8.7 FM, Buffalo NY's NPR News Station: seagrant.sunysb.edu/articles/r/2684.
(2) NYSG brought ashore a boating and paddle clean and safe exhibit at this year's Great New York State Fair, which wrapped up on Labor Day. Check out photos from the event (www.seagrant.sunysb.edu/articles/r/2680) as well as video clips (seagrant.sunysb.edu/articles/r/2685).
(3) Since 2008, "Clean and Safe Boating" education campaign has reached over 650,000 boaters. On the international front, introducing concepts from this long-standing effort to the U.S. island territory of American Samoa is just one of our coastal research and education program's recent related overseas endeavors: www.seagrant.sunysb.edu/articles/r/2679.
(4) Long Island Sound Study reminds that there are a handful of late summer / early fall opportunities to volunteer with them and partner organizations in New York and Connecticut to help restore and protect Long Island Sound: ow.ly/XFSj3043MhN.
(5) Nine new projects have begun with an aim at helping Great Lakes coastal communities enhance their resiliency and protect water quality. The $192,000 in grants are made possible through a partnership between NYSG and the New York State Department of Environmental Conservation (NYSDEC): www.seagrant.sunysb.edu/articles/r/2676.
(6) In more Great Lakes Basin Small Grants news, The application deadline is fast approaching (Friday, September 23rd) for grants of up to $25,000 that will be awarded via NYSG and the NYSDEC for projects that conserve and restore native fish and wildlife biodiversity and habitats or enhance community resiliency and ecosystem integrity within New York’s Great Lakes basin. See the listing "New York’s Great Lakes Basin Small Grants Program - 2016 Request for Proposals" at www.nyseagrant.org/proposals.
(7) In early August, sisters - both TV food contestants and Long Island residents - competed in NYSG’s Fifth Annual Seafood Throwdown. Check out photos and video clips from both contestants at www.seagrant.sunysb.edu/articles/r/2677. And see Newsday's pre-event coverage at www.seagrant.sunysb.edu/articles/r/2678.
(8) As we transition from summer to fall, it's still important for home gardeners to be mindful about being water-wise with landscaping practices. Get tips on how everyday efforts can help reduce threats to water quality via our revised, full-color guide: www.seagrant.sunysb.edu/articles/r/2639.
(9) Registration is available for several food safety training courses - both online and in-person - through our newly-revised Seafood and Technology Web site, www.nyseagrant.org/seafood.
(10) We continue our commemoration of Sea Grant 50, the year-long anniversary campaign, by featuring some related coastal effort milestones - both statewide and nationally - on our blog, www.nyseagrant.org/blog.
(11) Our Summer 2016 issue of NY Coastlines / Currents was e-distributed in early July. The issue and its stories can be found at www.nyseagrant.org/nycoastlines, where you can also sign up (if you haven't already done so) to receive our next issue, slated for release in mid-late fall.
Top 10+ Trending News Stories from NOAA ...

(1) STATE OF CLIMATE >>> 2015 was warmest year on record, with a new bar set on global surface temperatures, moving ahead of the record set just last year by 0.29°F — the largest margin by which one year has ever beaten another since official records began in 1880: www.climate.gov/news-features/features/2015-state-climate-highlights.
(2) Fall Safety >>> As the days get shorter and temperatures fall, a new round of weather hazards are on the rise. This transitional season often features weather hazards seen during both warm and cold months, including hurricanes, wildfires, intense winds, flooding, droughts, early season snow and more: www.nws.noaa.gov/com/weatherreadynation/fall_safety.html.
(3) U.S. CLIMATE >>> The U.S. experienced its 5th warmest summer on record. The lower 48 states also had their third warmest year to date and second wettest August. How warm or wet was it where you live?: www.noaa.gov/news/us-experiences-5th-warmest-summer-on-record.
(4) TEACHER RESOURCES >>> Five programs that bring Earth science "Back to School": www.noaa.gov/stories/teachers-5-programs-bring-earth-science-backtoschool.
(5) RISING WATERS >>> Climate change increased chances of record rains in Louisiana by at least 40 percent: www.noaa.gov/media-release/climate-change-increased-chances-of-record-rains-in-louisiana-by-at-least-40-percent.
Also, Use the slider in the story to see the "before" and "after" images of the devastating flooding in Louisiana. Our thoughts and prayers are with everyone affected by this disaster: oceanservice.noaa.gov/news/aug16/louisiana-flooding.html.
(6) STORM SPECIALIST >>> Meet NOAA National Hurricane Center's storm surge expert, Jamie Rhome: www.noaa.gov/stories/meet-noaas-storm-surge-expert-jamie-rhome.
(7) WEATHER >>> The strength of the 2015 El Niño weather pattern was on par with the record-strong events of 1982-82 and 1997-98: www.climate.gov/news-features/understanding-climate/2015-state-climate-el-ni%C3%B1o-came-saw-and-conquered.
(8) SEVERE STORMS >>> NOAA hurricane hunters fly through the eye of the storm: www.omao.noaa.gov/learn/aircraft-operations/about/hurricane-hunters.
(9) U.S. DROUGHT >>> According to the September 6, 2016 U.S. Drought Monitor, moderate to exceptional drought covers 19.1% of the contiguous United States, a slight decrease from last week’s 19.5%. The worst drought categories (extreme to exceptional drought) held steady at 2.7% for a third week: http://www.ncdc.noaa.gov/news/us-drought-monitor-update-september-6-2016.
(10) KNEE DEEP >>> NOAA launches America’s first national water forecast model. New tool hailed as a game changer for predicting floods, informing water-related decisions: www.noaa.gov/media-release/noaa-launches-america-s-first-national-water-forecast-model.
(11) GLOBAL CLIMATE >>> Why do scientists measure sea surface temperature?: oceanservice.noaa.gov/facts/sea-surface-temperature.html.
---
On www.nyseagrant.org ...
- Our "Trending Topics," such as climate change and green tips for coastal living, via a section on our homepage, www.nyseagrant.org.
- For the latest news from NYSG, check out our 'Currents' section, www.nyseagrant.org/currents, as well as our 'by-topic' archives, www.nyseagrant.org/currentsarchive.
- To keep tabs on all of NYSG's coastal science news, follow us on Facebook (www.facebook.com/nyseagrant), Twitter (www.twitter.com/nyseagrant) and YouTube (www.youtube.com/nyseagrant); Subscribe to our free news feeds (click the orange & white icon in the "Follow Us" navigation bar at www.nyseagrant.org); Sign up for our e-list in a few quick clicks at www.nyseagrant.org/nycoastlines. Our flagship publication, NY Coastlines / Currents, is published 1-2 times a year.
|
© New York Sea Grant 2023. All Rights Reserved.
Website Design by Gatorworks
|
|